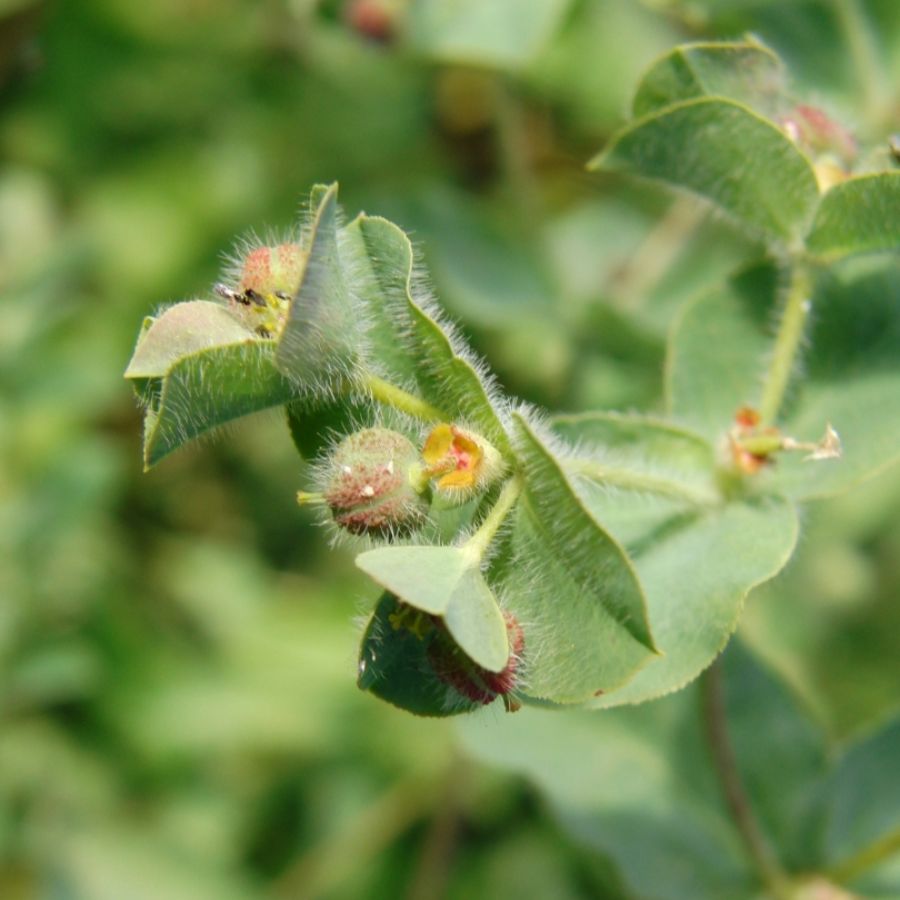
Euphorbia hirsuta 
         Euforbiàcies 
    
                            VEGEU MÉS IMATGES / 
                IL·LUSTRACIONS
                     
    Hivern
            Primavera
            Estiu
            Tardor
          
                               
                               
                               
                               
                               
                               
                               
                               
                               
                               
                               
                              Des.
            Gen.
            Feb.
            Mar.
            Abr.
            Mai.
            Jun.
            Jul.
            Ago.
            Set.
            Oct.
            Nov.
         
            DADES GENERALS:
         
         
                 Tipus de fitxa 
                                     ESPÈCIE
                              
             
                 Codi del tàxon: 
                                     VTax1764
                              
             
                 Nom científic:  
                                     Euphorbia hirsuta
                              
  
             
                 Nom català:  
                                     Lletera de riu, Lletera de séquia, Lleteresa pubescent, Lletrera de séquia, Lletrera d’aigua
                              
             
                 Nom castellà:  
                                     -
                              
             
                 Nom anglès:  
                                     -
                              
             
                 Nom francès:  
                                     Euphorbe hirsute
                              
             
                 Nom occità:  
                                     -
                              
             
                      
            DESCRIPCIÓ MORFOLÒGICA:
          
          
                 Forma vital :  
                                     Hemicriptòfit
                              
             
                 Alçada :  
                                                                3 dm - 
                                                                10 dm 
                                                                         
             
                                    Subterrani: -
                             
             
                                     Port: -
                              
             
                                     Tija/tronc: -
                              
             
                                     Fulles: -
                              
             
                                     Flor/inflorescència: -
                              
             
                                     Fuit/llavor: -
                              
          
            ECOLOGIA:
          
          
                 Substrat:  
                                     -
                              
             
                Freqüència: 
                                    r
                             
             
                 Hàbitat:  
                                     Jonqueres, herbassars humits  
                              
 
             
                 Altitut : 
                  
                                     0 - 
                                                      700 
                                                                
 
             
                 Naturalitat:  
                                     -
                              
             
                 Descripció de la naturalitat:  
                                     -
                              
             
                 Territori fisogràfic:  
                                     General, però manca a bona part dels Pirineus i al territoriolositànic
                              
             
                 Zones fitogeogràfiques:  
                                     Contrades mediterrànies (i estatge montà submediterrani)
                              
             
                 Àrees de distribució general :  
                                     Mediterrani
                              
             
                 Adscripció fitosociològica :  
                                                             
Molinio-Holoschoenion
          Molinio-Holoschoenion
GBIF (Global Biodiversity Information Facility). http://gbif.org
                    
             TAXONOMIA SÁEZ & AYMERICH: Aquest apartat es troba en fase de desenvolupament
         
         
                   Ordre :  - 
               
               
                   Família :  - 
               
               
                   Gènere :  - 
               
               
                   Espècie :  - 
               
               
                   Tàxon de rang superior :  - 
               
               
                   Tàxons de rang inferior :  - 
               
               
                   Híbrids :  - 
               
         
              TAXONOMIA BOLOS & VIGO:
         
         
                   Família :  Euforbiàcies
               
               
                   Gènere :  Euphorbia
               
               
                  Espècie : Euphorbia hirsuta L.
               
               
                   Tàxon de rang superior : 
                                           Euphorbia hirsuta
                                  
               
                   Tàxons de rang inferior : 
-
               -
                   Híbrids : 
-
         -
             SINÒNIMS:
         
         
                                                Euphorbia platyphyllos L. subsp. pubescens ( Vahl) Knoche
Euphorbia pubescens Vahl
                 
                     
         Euphorbia pubescens Vahl
            FITOSOCIOLOGIA / HÀBITAT:  Aquest apartat es troba en fase de desenvolupament
          
          
                 Divisió:  -
           
 
            
                 Classe:  -
             
             
                 Subclasse:  -
             
             
                Ordre:  -
            
            
                Subordre:  -
            
            
                Aliança:  -
            
            
                Subaliança:  -
            
            
                Associació:  -
            
            
                Subassociacio:  -
            
            
                Variant:  -
            
          





 
 
 
 
 
 
 
 
 
 
 
 
 
 
 
 
 
 
 
 
 
                    
                      
                      
                      
                      
                      
                      
                     

